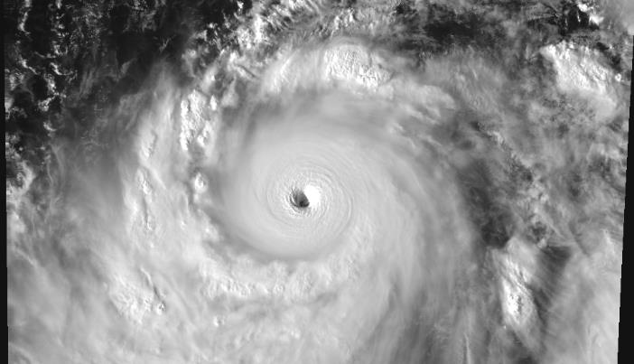
台风路径实时发布系统十五号卫星云图 布拉万有可能超过
据网络资讯,台风布拉万是10月7日下午在西北太平洋洋面生成的,已经生成了一个星期,布拉万的强度也是在疯狂增强中。据最新台风预报显示,台风布拉万的强度已经达到了超强台风级别,接下来布拉万或许还将保持这个强度一直到明天转向以后,强度才会减弱。以下是台风布拉万的最新卫星云图。
台风路径实时发布系统十五号卫星云图

专题点击》》2023年第15号台风布拉万路径实时发布系统

十五号卫星云图2

十五号卫星云图3

十五号卫星云图4

十五号卫星云图5
昨夜起,布拉万经历了一轮猛烈爆发,强度火箭式蹿升,已经是最高等级的五级台风。接下来布拉万将迅速清空台风眼,有可能超过玛娃成为今年全球风王。
昨晚到今天,台风布拉万不断增强,目前已经有了一个清晰的小圆眼。今天8时中央气象台给出了超强台风的评价,并上调了强度预期,巅峰给出65米/秒的预估。未来在远海转向,对我国无影响,属于一个观赏型台风。
北京时间今天中午的超强台风布拉万,整个西北太平洋都是它的舞台!
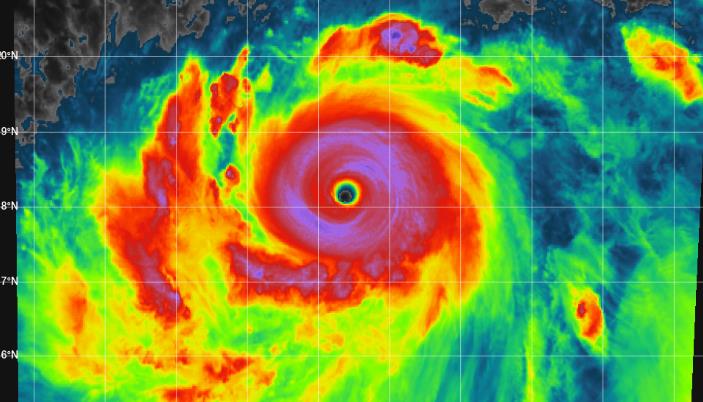
台风快讯
时间:11日08时
命名:“布拉万”,BOLAVEN
编号:2315号
中心位置:北纬17.0度、东经144.1度
强度等级:超强台风级
最大风力:16级,52米/秒(约187公里/小时)
中心气压:935 hPa
参考位置:距离关岛塞班西北方向约265公里
风圈半径:七级风圈半径东北方向300公里;东南方向300公里;西南方向250公里;西北方向280公里
十级风圈半径东北方向160公里;东南方向160公里;西南方向130公里;西北方向130公里
十二级风圈半径东北方向90公里;东南方向90公里;西南方向80公里;西北方向80公里
预报结论:“布拉万”将以每小时20公里左右的速度向北偏西方向移动,强度还将有所增强

台风眼
台风的特点是什么?
台风的特点:风力强劲,破坏力极强。台风属于热带气旋的一种,是一种发生在热带或副热带洋面上的低压涡旋,它的风力通常在12级或以上。台风按照强度主要分为热带低压、热带风暴、强热带风暴、台风、强台风和超强台风这6个等级,夏季多有台风天气出现。
广义上而言,“台风”这个词并非一种热带气旋强度。将中心持续风速每秒17.2米或以上的热带气旋,包括世界气象组织定义中的热带风暴、强热带风暴和台风,均称台风。在非正式场合,“台风”甚至直接泛指热带气旋本身。当西北太平洋的热带气旋达到热带风暴的强度,便给予其名称。
台风的初始阶段为热带低压,从最初的低压环流到中心附近最大平均风力达八级,一般需要2天左右,慢的要三四天,快的只要几个小时。在发展阶段,台风不断吸收能量,直到中心气压达到最低值,风速达到最大值。而台风登陆陆地后,受到地面摩擦和能量供应不足的共同影响,台风会迅速减弱消亡。
上一篇:温州台风网15号台风路径实时发布系统 台风“布拉万”升
下一篇:海南海口发布暴雨红色预警 海口11条公交线路临时暂停发班
相关热词搜索:台风最新消息 台风布拉万 台风路径 北京天气预报 旅游景点天气 上海天气预报15天 广州国际机场天气 卫星云图天气预报 天气预报降水分布
